REBEAUTY K-Beauty
Tìm kiếm
Đăng nhập
Đăng ký
Phòng khám
Danh mục
Xem tất cả
Phẫu thuật thẩm mỹ
Da liễu
Nhãn khoa
Nha khoa
Thủ thuật phổ biến
Phẫu thuật thẩm mỹ mắt
Nâng mũi
Nâng ngực
Nâng cơ
Hút mỡ
Phẫu thuật thẩm mỹ
Da liễu
Nhãn khoa
Nha khoa
Đánh giá
REAL
Trước/Sau
Sự kiện
HOT
YouTube
Tạp chí
NEW
Thẩm mỹ ảo
AI
REBEAUTY K-Beauty
Đăng nhập
Đăng ký mới
Phòng khám
Tất cả
Phẫu thuật thẩm mỹ
Da liễu
Nhãn khoa
Nha khoa
Nội dung
Đánh giá
T/S
Sự kiện
YouTube
Tạp chí
AI
Hỗ trợ
Câu hỏi thường gặp
Thông báo
Liên hệ
Đăng nhập MXH
Trước và Sau
Xem sự thay đổi thực tế trước và sau điều trị
Before
After
Phòng khám Phẫu thuật Thẩm mỹ ATOP
整形手術
Tái phẫu thuật mũi) Sống mũi (tháo silicon+da tự thân)+Đầu mũi (chỉnh sửa mũi tròn+điều chỉnh góc đầu mũi+sụn tai/sụn vách ngăn)
Before
After
Phòng khám Phẫu thuật Thẩm mỹ ATOP
整形手術
Tái phẫu thuật mũi) Sống mũi (tháo silicon+da tự thân)+Đầu mũi (chỉnh sửa mũi tròn+điều chỉnh góc đầu mũi+sụn tai/sụn vách ngăn)
Before
After
Phòng khám Phẫu thuật Thẩm mỹ ATOP
整形手術
Tái phẫu thuật mũi) Sống mũi (thay silicon) + Đầu mũi (sụn vành tai)
Before
After
Phòng khám Phẫu thuật Thẩm mỹ ATOP
整形手術
Tái phẫu thuật mũi) Sống mũi (thay silicon) + Đầu mũi (sụn vành tai)
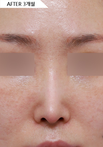
Before
After
Phòng khám Phẫu thuật Thẩm mỹ ATOP
整形手術
Nâng trán
Before
After
Phòng khám Phẫu thuật Thẩm mỹ ATOP
整形手術
Hút mỡ mặt + căng chỉ
Before
After
Phòng khám Phẫu thuật Thẩm mỹ ATOP
整形手術
Hút mỡ mặt + loại bỏ mỡ má + căng chỉ + botox cằm
Before
After
Phòng khám Phẫu thuật Thẩm mỹ ATOP
整形手術
Hút mỡ mặt + filler cằm
Before
After
Phòng khám Phẫu thuật Thẩm mỹ ATOP
整形手術
Hút mỡ mặt + căng chỉ
Before
After
Phòng khám Phẫu thuật Thẩm mỹ ATOP
整形手術
Hút mỡ mặt + căng chỉ + botox cằm
Before
After
Phòng khám Phẫu thuật Thẩm mỹ ATOP
整形手術
Tái định vị mỡ dưới mắt
Before
After
Phòng khám Phẫu thuật Thẩm mỹ ATOP
整形手術
2 loại chức năng + Sống mũi (silicon) + Đầu mũi (chỉnh sửa mũi tròn + sụn vành tai)
96
97
98
99
100
Đang xem:
Trang chủ
Tìm kiếm
Yêu thích
Tin nhắn
Tôi
Phổ biến
Phẫu thuật
Da liễu
Nha khoa
Botox
Filler