REBEAUTY K-Beauty
Tìm kiếm
Đăng nhập
Đăng ký
Phòng khám
Danh mục
Xem tất cả
Phẫu thuật thẩm mỹ
Da liễu
Nhãn khoa
Nha khoa
Thủ thuật phổ biến
Phẫu thuật thẩm mỹ mắt
Nâng mũi
Nâng cơ
Nâng ngực
Hút mỡ
Phẫu thuật thẩm mỹ
Da liễu
Nhãn khoa
Nha khoa
Đánh giá
REAL
Trước/Sau
Sự kiện
HOT
YouTube
Tạp chí
NEW
Thẩm mỹ ảo
AI
REBEAUTY K-Beauty
Đăng nhập
Đăng ký mới
Phòng khám
Tất cả
Phẫu thuật thẩm mỹ
Da liễu
Nhãn khoa
Nha khoa
Nội dung
Đánh giá
T/S
Sự kiện
YouTube
Tạp chí
AI
Hỗ trợ
Câu hỏi thường gặp
Thông báo
Liên hệ
Đăng nhập MXH
Trước và Sau
Xem sự thay đổi thực tế trước và sau điều trị
Before
After
Phòng khám Phẫu thuật Thẩm mỹ ATOP
整形手術
Đầu mũi (chỉnh sửa mũi to tròn+thu nhỏ cánh mũi+sụn tai/sụn vách ngăn)
Before
After
Phòng khám Phẫu thuật Thẩm mỹ ATOP
整形手術
Đầu mũi (chỉnh sửa mũi to tròn+sụn tai/sụn vách ngăn)
Before
After
Phòng khám Phẫu thuật Thẩm mỹ ATOP
整形手術
Đầu mũi (chỉnh sửa mũi to tròn+sụn tai/sụn vách ngăn)
Before
After
Phòng khám Phẫu thuật Thẩm mỹ ATOP
整形手術
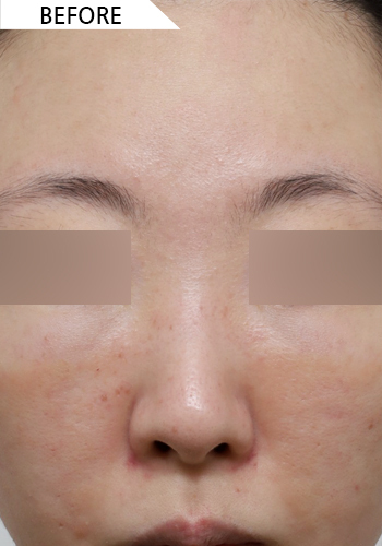
Thu nhỏ trán+Nâng trán
Before
After
Phòng khám Phẫu thuật Thẩm mỹ ATOP
整形手術
Hút mỡ mặt+Loại bỏ mỡ má+Tiêm filler cằm+Botox khóe miệng/cằm
Before
After
Phòng khám Phẫu thuật Thẩm mỹ ATOP
整形手術
Mũi nam) Đầu mũi (thu nhỏ cánh mũi+chỉnh sửa mũi to tròn)
Before
After
Phòng khám Phẫu thuật Thẩm mỹ ATOP
美容整形
Hút mỡ mặt+loại bỏ mỡ má sâu+nâng cơ bằng chỉ
Before
After
Phòng khám Phẫu thuật Thẩm mỹ ATOP
美容整形
Mắt trung niên) Cắt mí dưới+Nâng cơ dưới mắt+Cố định góc ngoài mắt
Before
After
Phòng khám Phẫu thuật Thẩm mỹ ATOP
美容整形
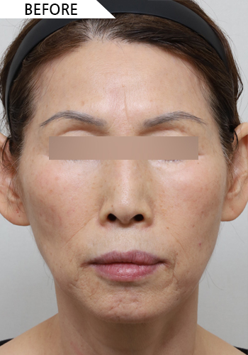
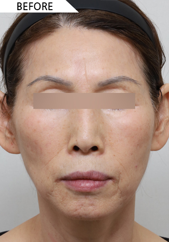
Căng da mặt bằng phẫu thuật+Cấy mỡ toàn mặt
Before
After
Phòng khám Phẫu thuật Thẩm mỹ ATOP
美容整形
Căng da mặt bằng phẫu thuật+Cấy mỡ toàn mặt
Before
After
Phòng khám Phẫu thuật Thẩm mỹ ATOP
美容整形
Mắt nam) Cắt mí+Chỉnh sửa mắt+Mở góc mắt trên+Mở góc mắt trước
Before
After
Phòng khám Phẫu thuật Thẩm mỹ ATOP
美容整形
Hút mỡ mặt+loại bỏ mỡ má sâu+nâng cơ bằng chỉ+botox cằm
60
61
62
63
64
Đang xem:
Trang chủ
Tìm kiếm
Yêu thích
Tin nhắn
Tôi
Phổ biến
Phẫu thuật
Da liễu
Nha khoa
Botox
Filler