REBEAUTY K-Beauty
Tìm kiếm
Đăng nhập
Đăng ký
Phòng khám
Danh mục
Xem tất cả
Phẫu thuật thẩm mỹ
Da liễu
Nhãn khoa
Nha khoa
Thủ thuật phổ biến
Phẫu thuật thẩm mỹ mắt
Nâng mũi
Nâng cơ
Nâng ngực
Hút mỡ
Phẫu thuật thẩm mỹ
Da liễu
Nhãn khoa
Nha khoa
Đánh giá
REAL
Trước/Sau
Sự kiện
HOT
YouTube
Tạp chí
NEW
Thẩm mỹ ảo
AI
REBEAUTY K-Beauty
Đăng nhập
Đăng ký mới
Phòng khám
Tất cả
Phẫu thuật thẩm mỹ
Da liễu
Nhãn khoa
Nha khoa
Nội dung
Đánh giá
T/S
Sự kiện
YouTube
Tạp chí
AI
Hỗ trợ
Câu hỏi thường gặp
Thông báo
Liên hệ
Đăng nhập MXH
Trước và Sau
Xem sự thay đổi thực tế trước và sau điều trị
Before
After
Phòng khám Phẫu thuật Thẩm mỹ ATOP
整形手術
Phẫu thuật thẩm mỹ nam) Hút mỡ mặt + Loại bỏ mỡ má
Before
After
Phòng khám Phẫu thuật Thẩm mỹ ATOP
整形手術
Phẫu thuật thẩm mỹ nam) Hút mỡ mặt + Loại bỏ mỡ má + Nâng cơ bằng chỉ + Botox cằm
Before
After
Phòng khám Phẫu thuật Thẩm mỹ ATOP
整形手術
Phẫu thuật thẩm mỹ nam) Hút mỡ mặt + Loại bỏ mỡ má + Botox cằm
Before
After
Phòng khám Phẫu thuật Thẩm mỹ ATOP
整形手術
Phẫu thuật thẩm mỹ trung niên) Nâng cơ Yeo-woo + Nâng cơ bằng chỉ + Cấy mỡ rãnh mũi má/khóe miệng/gò má trước
Before
After
Phòng khám Phẫu thuật Thẩm mỹ ATOP
整形手術
Phẫu thuật thẩm mỹ trung niên) Nâng cơ Yeo-woo + Nâng cơ bằng chỉ + Cấy mỡ rãnh mũi má/khóe miệng/gò má trước
Before
After
Phòng khám Phẫu thuật Thẩm mỹ ATOP
整形手術
Phẫu thuật thẩm mỹ trung niên) Nâng cơ má xệ + Cấy mỡ rãnh mũi má/khóe miệng
Before
After
Phòng khám Phẫu thuật Thẩm mỹ ATOP
整形手術
Phẫu thuật thẩm mỹ trung niên) Nâng cơ má xệ + Cấy mỡ rãnh mũi má/khóe miệng
Before
After
Phòng khám Phẫu thuật Thẩm mỹ ATOP
整形手術
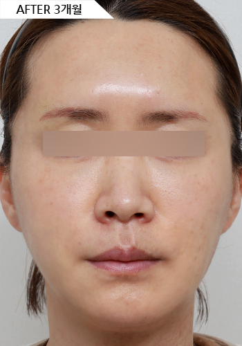
Phẫu thuật thẩm mỹ trung niên) Nâng cơ bằng chỉ + Cấy mỡ toàn mặt
Before
After
Phòng khám Phẫu thuật Thẩm mỹ ATOP
整形手術
Phẫu thuật thẩm mỹ trung niên) Nâng cơ bằng chỉ + Cấy mỡ toàn mặt
Before
After
Phòng khám Phẫu thuật Thẩm mỹ ATOP
整形手術
Phẫu thuật thẩm mỹ trung niên) Nâng cơ Yeo-woo + Cấy mỡ toàn mặt
Before
After
Phòng khám Phẫu thuật Thẩm mỹ ATOP
整形手術
Phẫu thuật thẩm mỹ trung niên) Nâng cơ Yeo-woo + Cấy mỡ toàn mặt
Before
After
Phòng khám Phẫu thuật Thẩm mỹ ATOP
整形手術
Phẫu thuật thẩm mỹ trung niên) Nâng cơ bằng chỉ + Cấy mỡ toàn mặt
138
139
140
141
142
Đang xem:
Trang chủ
Tìm kiếm
Yêu thích
Tin nhắn
Tôi
Phổ biến
Phẫu thuật
Da liễu
Nha khoa
Botox
Filler