REBEAUTY K-Beauty
Tìm kiếm
Đăng nhập
Đăng ký
Phòng khám
Danh mục
Xem tất cả
Phẫu thuật thẩm mỹ
Da liễu
Nhãn khoa
Nha khoa
Thủ thuật phổ biến
Phẫu thuật thẩm mỹ mắt
Nâng mũi
Nâng cơ
Nâng ngực
Hút mỡ
Phẫu thuật thẩm mỹ
Da liễu
Nhãn khoa
Nha khoa
Đánh giá
REAL
Trước/Sau
Sự kiện
HOT
YouTube
Tạp chí
NEW
Thẩm mỹ ảo
AI
REBEAUTY K-Beauty
Đăng nhập
Đăng ký mới
Phòng khám
Tất cả
Phẫu thuật thẩm mỹ
Da liễu
Nhãn khoa
Nha khoa
Nội dung
Đánh giá
T/S
Sự kiện
YouTube
Tạp chí
AI
Hỗ trợ
Câu hỏi thường gặp
Thông báo
Liên hệ
Đăng nhập MXH
Trước và Sau
Xem sự thay đổi thực tế trước và sau điều trị
Before
After
Phòng khám Phẫu thuật Thẩm mỹ ATOP
美容整形
Đầu mũi (Thu nhỏ cánh mũi + Hạ trụ mũi + Sụn vách ngăn)|Đầu mũi (Thu nhỏ cánh mũi + Hạ trụ mũi + Sụn vách ngăn)
Before
After
Phòng khám Phẫu thuật Thẩm mỹ ATOP
美容整形
Đầu mũi (Thu nhỏ cánh mũi + Hạ trụ mũi + Sụn vách ngăn)|Đầu mũi (Thu nhỏ cánh mũi + Hạ trụ mũi + Sụn vách ngăn)
Before
After
Phòng khám Phẫu thuật Thẩm mỹ ATOP
美容整形
Hút mỡ mặt|Hút mỡ mặt
Before
After
Phòng khám Phẫu thuật Thẩm mỹ ATOP
美容整形
Hút mỡ mặt + Tiêm filler cằm + Botox cằm|Hút mỡ mặt + Tiêm filler cằm + Botox cằm
Before
After
Phòng khám Phẫu thuật Thẩm mỹ ATOP
美容整形
Hút mỡ mặt + Loại bỏ mỡ má + Nâng cơ bằng chỉ + Botox cằm|Hút mỡ mặt + Loại bỏ mỡ má + Nâng cơ bằng chỉ + Botox cằm
Before
After
Phòng khám Phẫu thuật Thẩm mỹ ATOP
美容整形
Hút mỡ mặt|Hút mỡ mặt
Before
After
Phòng khám Phẫu thuật Thẩm mỹ ATOP
整形手術
Chức năng 2 loại + Sống mũi (silicone) + Đầu mũi (chỉnh sửa mũi tròn + hạ trụ mũi + sụn vành tai/sụn vách ngăn)
Before
After
Phòng khám Phẫu thuật Thẩm mỹ ATOP
整形手術
Chức năng 2 loại + Sống mũi (silicone) + Đầu mũi (chỉnh sửa mũi tròn + hạ trụ mũi + sụn vành tai/sụn vách ngăn)
Before
After
Phòng khám Phẫu thuật Thẩm mỹ ATOP
整形手術
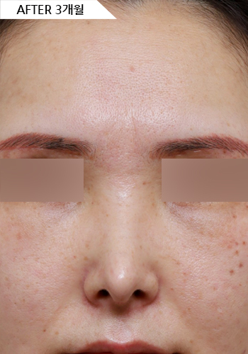
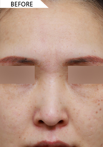
Tái định vị bọng mỡ dưới mắt
Before
After
Phòng khám Phẫu thuật Thẩm mỹ ATOP
整形手術
Hút mỡ mặt + Loại bỏ mỡ má sâu + Nâng cơ bằng chỉ + Tiêm filler cằm + Cằm nhăn/Botox cằm
Before
After
Phòng khám Phẫu thuật Thẩm mỹ ATOP
整形手術
Mắt nam) Cắt mí + Chỉnh sửa mắt + Loại bỏ mỡ mí mắt
Before
After
Phòng khám Phẫu thuật Thẩm mỹ ATOP
整形手術
Mắt trung niên) Cắt mí + Chỉnh sửa mắt + Hạ mí dưới + Nâng cơ dưới mắt + Cố định góc ngoài mắt
104
105
106
107
108
Đang xem:
Trang chủ
Tìm kiếm
Yêu thích
Tin nhắn
Tôi
Phổ biến
Phẫu thuật
Da liễu
Nha khoa
Botox
Filler